With memories of wonderful Reykjavik’s welcome still fresh in our minds, we took our coffee with a splash into the Arctic Circle as we rounded Iceland’s Westfjords to our day’s destination. A few dolphins and minke whales checked in on us, alongside our ever-present escort of fulmars, as Certified Photo Instructor Brooke Juhala readied us to capture the forthcoming spectacular landscapes. Soon enough, the gorgeous scenery surrounding Djúpavík came into view—maybe some National Geographic Expedition Adventurers recognized this place from when Superman went looking for Aquaman on a recent world-saving mission.
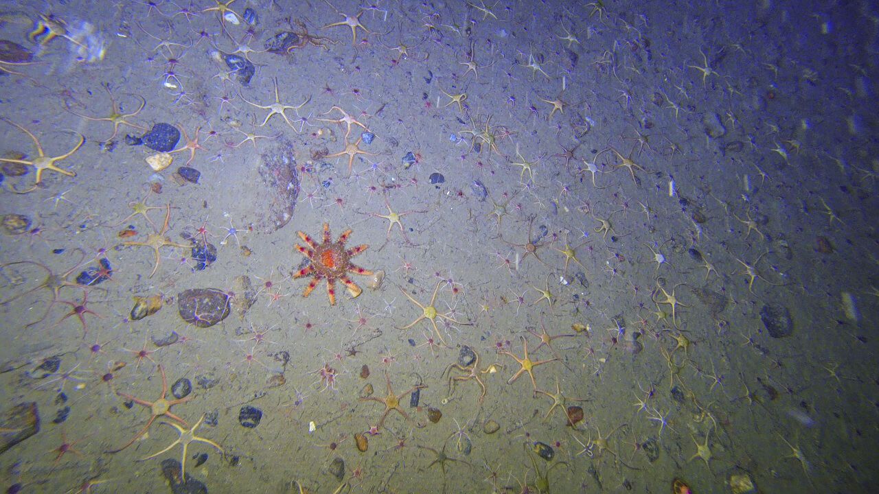
Our Undersea team took Kal-El’s torch and went out for an exploration into Inner Space, revealing a smack of gelatinous beings—moon, cross, umbrella, graceful, and comb jellies galore! Higher up, some 900ft above sea level in fact, one intrepid band of hikers stood atop the cliffs and spied on the divers as they went. Following impressive waterfalls down to the fjord floor would have found us exploring the shoreline and the defunct herring salting factory/museum (and coffee shop, with delicious cake.) Back onboard, another delicious dinner served as an appetizer to guest speaker Hulda Þórisdóttir’s presentation on the politics and people of her homeland. Now, onward to Skagafjörður!







